Bishop Gregory Parkes

The Latest

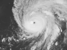
United States Naval Research Laboratory's infrared-gray satellite image of Hurricane Ian.

Florida bishop calls for prayers ahead of Hurricane Ian

Sep 27, 2022

By CNA Staff

Bishop Gregory L. Parkes of St. Petersburg asked for prayers for “protection during the storm.” Read more

Kansas City, St Petersburg bishops make Super Bowl wager

Feb 4, 2021

The Catholic bishops of the cities competing in the Super Bowl have placed a friendly wager on the game’s outcome.  Read more