Saturday, Jan 03 2026 Donate
A service of EWTN News

Florida bishop calls for prayers ahead of Hurricane Ian

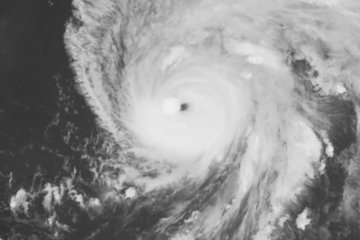
United States Naval Research Laboratory's infrared-gray satellite image of Hurricane Ian./ Public Domain

As Hurricane Ian bears down on Florida’s Gulf Coast, Bishop Gregory L. Parkes of St. Petersburg asked for prayers for “protection during the storm.”

In a message emailed to each parish in his diocese and posted on the diocese’s Facebook page and YouTube channel, Parkes offered a prayer of his own.

“Loving God, maker of heaven and earth, protect us in your love and mercy. Send the spirit of Jesus to be with us to still our fears and to give us confidence in the stormy waters. Jesus reassured his disciples by his presence, calmed the storm, and strengthened their faith,” he said.

“Guard us from harm during the storm and renew our faith to serve you faithfully. Give us the courage to face all difficulties and the wisdom to see the ways your Spirit binds us together in mutual assistance,” Parkes prayed. “With confidence, we make our prayer through Jesus Christ, our Lord. Amen.”

On Tuesday afternoon the Category 3 storm struck western Cuba and headed into the Gulf of Mexico. While the exact path of the hurricane is not yet known, forecasters have issued warnings for the entire Gulf Coast. Current projections are for the storm to hit between Tampa and Ft. Myers on Wednesday.

The Diocese of St. Petersburg is, for now, to the north of the hurricane’s expected path, but dangerous flooding and damaging winds are expected for all of Florida's west coast. Mandatory evacuations have been ordered for coastal and low-lying areas.

Tampa officials warned residents on Tuesday to take the hurricane seriously, as first responders are not sent out if winds are higher than 40 mph.

With sustained winds expected to reach 115 mph, and gusts up to 145 mph, the National Hurricane Center warned that “locations may be uninhabitable for weeks or months.”

National Hurricane Center's track of Hurricane Ian, expected to make landfall onWednesday. Public Domain

Subscribe to our daily newsletter

At Catholic News Agency, our team is committed to reporting the truth with courage, integrity, and fidelity to our faith. We provide news about the Church and the world, as seen through the teachings of the Catholic Church. When you subscribe to the CNA UPDATE, we'll send you a daily email with links to the news you need and, occasionally, breaking news.

As part of this free service you may receive occasional offers from us at EWTN News and EWTN. We won't rent or sell your information, and you can unsubscribe at any time.

Click here

Our mission is the truth. Join us!

Your monthly donation will help our team continue reporting the truth, with fairness, integrity, and fidelity to Jesus Christ and his Church.

Donate to CNA